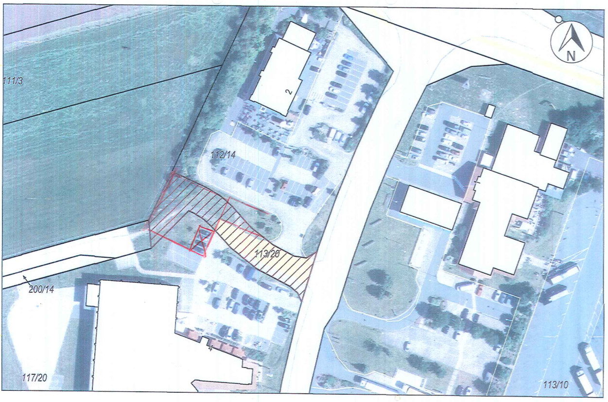
Die Gemeinde Buchholz (Aller) möchte in der Elektromobilität eine Vorreiterrolle einnahmen. Die Gemeinde verfügt im Gerbwerbegebiet westlich der A7, in unmittelbarer Nähe der Abfahrt Schwarmstedt (Heidekreis, Niedersachsen) über Flächen, die hierzu an Dritte veräußert werden können.

Es handelt sich um Wegeflächen, die nicht mehr benötigt werden und entwidmet werden sollen. Das Entwidmungsverfahren soll in der nächsten Sitzung des Rates der Gemeinde eingeleitet werden.

Die Errichtung einer Infrastruktur im Gewerbegebiet Buchholz bietet sich besonders an, weil zum einen eine direkte Nähe zur Hauptverkehrsader A7 besteht. Die Tankstelle befindet sich ein einer 1-A Lage zwischen Mc. Donalds und Bäckerei Vatter am Beginn des Gewerbegebietes. Zudem besteht eine gute Infrastruktur für Kunden einer E-Tankstelle während des rund halbstündigen Ladevorgangs (Cafe Vatter, Mrs.Pepper, Truckstop, Mc Donalds).

Betreiber, die ein Interesse am Betrieb einer Tankstelle und dem Erwerb des Grundstückes haben werden gebeten bis zum 26. April 2019 ihr Konzept schriftlich bei der Gemeinde Buchholz (Aller), Am Markt 1, 29690 Schwarmstedt, rathaus@schwarmstedt.de einreichen. Ansprechpartner für Rückfragen ist Herr Otto, Telefon 05071/809-133. Unter Umständen erfolgt eine Projektvorstellung in den Ratsgremien zu der die Bewerber eine Einladung erhalten.

Auf folgende grundsätzliche Anforderungen soll in den Konzepten eingegangen werden:

  • Nutzung einer Ultra-Schnelladetechnologie
  • Multifunktionalität, d.h. alle gängige Stecker / Lademöglichkeiten
  • Gute Ausnutzung der vorhandenen Grundstücksfläche, d.h. möglichst viele Ladesäulen auf der vorhandenen Fläche.
  • Zahlungs- und Abrechnungssystem. Einfache Nutzung für Kunden aus dem In- und Ausland.
  • Kosten des Tankvorganges
  • Einsatz regenerativer Energien / Ökostrom
  • Optische Gestaltung Überdachung , Abgrenzung zum benachbarten Dorfgebiet, Anordnung
  • Die E-Tankstelle soll privatwirtschaftlich betrieben werden


Aufruf E-Tankstelle.pdf

 

   
16.01.2026

strassensperrung-2026-01-l163 Im Ortsteil Düshorn der Stadt Walsrode muss im Zuge der Landesstraße 163 ein Durchlass erneuert werden. Der gesperrte Bereich befindet sich zwischen der Kreuzung Bruchweg/Sonnenweg und der Zufahrt zur Hausnummer 27.

mehr...

   

Kontakt Rathaus  

Samtgemeinde Schwarmstedt
Am Markt 1
29690 Schwarmstedt

Tel. (05071) 809 - 0
Fax. (0511) 93 69 717 62
E-Mail: rathaus@schwarmstedt.de

thumbnail Feedback, Mängelmeldung
thumbnail Terminbuchung
   

Veranstaltungskalender  

   

Aktuelles  

20.04.2026
aktuelles-2026-05-hallenbad-ecErfolgsmodell Kartenzahlung: Schwarmstedter Hallenbad setzt auf bargeldlosen...mehr...
20.04.2026
bekanntmachung-gilten-2026-05-ratDie nächste Sitzung des Bau- und Wegeausschusses der Gemeinde Gilten - als...mehr...
17.04.2026
hallenbadschliessung-am-21-04-2026-ab-15-00-uhrAus personellen Gründen muss das Hallenbad am mehr...
14.04.2026
bekanntmachung-gilten-2026-04-ratDie nächste Sitzung des Rates der Gemeinde Gilten findet am 22.04.2026, um...mehr...
09.04.2026
bekanntmachung-buchholz-2026-04-ratDie nächste Sitzung des Rates der Gemeinde Buchholz (Aller), als...mehr...
31.03.2026
aktuelles-2026-04-minigolfAm Mittwoch, 01. April 2026 startet die Minigolfanlage in die neue...mehr...
   
buchtipp-2026-04-18Die Samtgemeindebücherei im Uhle-Hof empfiehlt in dieser Woche folgende neue Bücher für Erwachsene: mehr...
   
   

 

  Samtgemeinde Schwarmstedt

Postfach 1154
29684 Schwarmstedt

Hausanschrift:
Rathaus
Am Markt 1
29690 Schwarmstedt

Vorsprache nur nach Terminvereinbarung

Telefon (Zentrale): 05071/809-0
Telefon (Bürgerbüro): 05071/809-99
E-Mail: rathaus@schwarmstedt.de
Kontakt (Was erledige ich wo?)

Kontodaten der Samtgemeindekasse

Sprechzeiten Bürgerbüro
(Meldeamt, Ausweise/Pässe, Fundbüro, Kfz-Zulassung, Gewerbe/Gaststätten):
Montag, Mittwoch & Freitag 08:30 – 14:00 Uhr
Dienstag & Donnerstag 08:30 – 12:00 Uhr 
  13:00 – 18:30 Uhr


Sprechzeiten Sozialamt
(Bürgergeld, Sozialhilfe, Wohngeld, Asylbewerberleistungen, Unterbringung):
Montag – Freitag, 10:00 – 12:00 Uhr
Donnerstag 16:00 – 18:00 Uhr
   
allgemeine Sprechzeiten:
Montag – Freitag, 08:30 – 12:00 Uhr
Montag – Mittwoch, 13:00 – 15:00 Uhr
Donnerstag 14:00 – 18:00 Uhr
   
 
Impressum Datenschutz Barrierefreiheit Quellenangaben 
Wir benutzen Cookies
Wir nutzen Cookies auf unserer Website. Einige von ihnen sind essenziell für den Betrieb der Seite, während andere uns helfen, diese Website und die Nutzererfahrung zu verbessern (Tracking Cookies). Sie können selbst entscheiden, ob Sie die Cookies zulassen möchten.
Bitte beachten Sie, dass bei einer Ablehnung womöglich nicht mehr alle Funktionalitäten der Seite zur Verfügung stehen.